☆☆☆☆☆☆
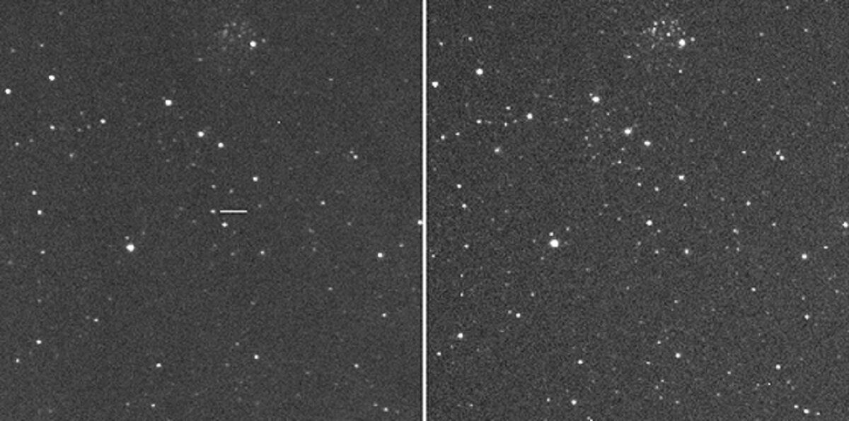
亀山市の中村祐二さんが,2021年3月18日19時10分ごろに焦点距離135mmのレンズとCCDカメラを用いて撮影した画像からカシオペヤ座の中に9.6等の新天体を見つけたということです。これが今日の3番目の写真です。
・・・・・・
新天体の位置は散開星団M(メシエ)52の約0.4度南で,約5,500光年の距離にある新星類似型変光星(nova-like variable)「CzeV3217」が新星爆発によって急激に明るくなったものと考えられています。
・・・・・・
新星類似型変光星はこれまで新星爆発を起こしたことがない変光星,つまり,新星予備軍のことです。
通常,新星はそれほど明るくなく,彗星のように美しくもないので,私は撮影しないのですが,今回の新星は6等星から7等星と明るいので,写真に収めようと出かけることにしました。新星のある位置は,夕方と明け方3時以降なら結構高い高度にいることと,月が沈むのが午前3時過ぎなので,快晴だった3月24日の午前3時過ぎに,家の近くの河川敷にでかけて,焦点距離35ミリのレンズでカシオペア座を入れて写すことにしました。それが今日の2番目の写真です。
快晴とはいえ,また,月明かりがなくなった時間とはいえ,都会の光で空は明るく,やっとカシオペヤ座のWにあたる2等星が肉眼で見えるくらいだったのですが,帰宅してからコンピュータ処理をすると,写真のように多くの星が浮かび上がり,新星を特定できました。
なお,1番目は以前望遠鏡で写した新星の近くにあるM52です。当然,新星は写っていません。
新星と超新星は異なります。
超新星(supernova)は,新星よりはるかに明るく輝くもので,核爆発によって,白色矮星のすべてが吹き飛ばされる「Ⅰa」型と太陽の約8倍以上の質量をもつ恒星が一生の最後に起こすⅡ型,「Ⅰb」型,「Ⅰc」 型があります。
新星(nova)は,白色矮星と赤い恒星からなる近接連星において,赤い恒星から白色矮星の表面に降り積もったガスが起こす核爆発によって白色矮星が急激に明るく輝く現象です。つまり,新星というのは,新しい星が誕生するのではなくて,すでに一生を終えて白色矮星なった恒星が再び輝く現象です。
新星は,天の川銀河で 1 年に数個程度発見されていますが,発見されないものも含めると1年に数10個程度の新星が出現していると推測されています。新星は絶対等級約マイナス7等星からマイナス9等星ほどの明るさで輝き,数十日から数年かけて次第に暗くなっていきます。
・・
ところで,「Ia」型の超新星と新星の原因となる白色矮星ですが,白色矮星というのは、太陽の約8倍以下の質量をもつ恒星が一生を終えた後に残される白く小さい星です。大きさはせいぜい地球程度ですが,質量が太陽程度もあるため,表面の重力は地球上の数10万倍におよびます。白色矮星と赤い恒星から成る接近連星で,赤い恒星から白色矮星の表面に降り積もった主として水素とヘリウムからなるガスは,白色矮星の表面でその強い重力によって圧縮され,次第に温度が上がっていき,やがて,降り積もったガスの温度が1億度程度になると爆発的な水素核融合が起こり,その結果,急激に明るく輝き出します。この爆発現象が新星爆発です。
新星爆発によって降り積もったガスは吹き飛ばされ,白色矮星は次第に暗くなり元の状態に戻ります。こうした新星爆発では,白色矮星はそのまま残されるので,再び普通の恒星からガスが降り積もることにより,この新星爆発は繰り返されることになります。しかし,再び爆発を起こすまでの期間は数千年以上なので,同じ白色矮星が再び新星として観測されることはほとんどありません。
しかし,白色矮星の質量が太陽質量の1.3倍程度と大きく,また,となりの恒星が赤色巨星である場合,10年から数10年程度で爆発が繰り返されることがあります。これが回帰新星(反復新星)です。回帰新星(反復新星)の場合は,水素核融合によってつくられたヘリウムが白色矮星の表面に残り,少しずつ質量が増加します。やがて,太陽質量の約1.4倍に達すると,白色矮星全体が核爆発を起こして吹き飛ばされ,「Ⅰa」型の超新星,または,重力崩壊して中性子星になると考えられているのですが,はっきりしたことはまだよくわかっていないそうです。
◇◇◇
カテゴリ:星を見る > 新星・超新星
やっと晴れたか!冬2019⑦-ペテルギウス爆発か?
######
昨年末ごろから,ペテルギウスが減光していることが大きく取り上げられていて,明日にでもペテルギウスが超新星爆発を起こすのではないかと期待? されています。実際,私の写した写真を見ても,ペテルギウスはずいぶんと減光しています。
星の一生というのは人間の時間感覚とはまったく違うので,明日にでもというのは数百年とか数千年のことなのですが,いずれにしても,ペテルギウスがその生涯の99パーセント以上を終えていることは確実です。
今から200年ほど前,南アフリカの喜望峰天文台でジョン・ハーシェルがペテルギウスを観測して,ペテルギウスが変光していることを見つけました。それから80年後,アメリカのウィルソン山天文台で,アルバート・マイケルソンが口径100インチの「ヘール望遠鏡」に干渉計を取り付けてペテルギウスの大きさを測定し,太陽の300倍と発表しました。
そのさらに40年後,パリ天文台での観測により,ペテルギウスの直径は14億キロメートルで太陽の1,000倍あって,しかも,大きさが1億キロメートルも変化する脈動星だということがわかりました。その結果,ペテルギウスはほとんどその生涯が終わっている赤色超巨星であるとされました。
また,ドイツのマックスブランク研究所では,チリのパラナル天文台にある3台の望遠鏡からなるVLT干渉計で干渉縞を観測した結果から,ペテルギウスは球形ではなく,なんと7億キロメートルものコブが飛び出している落花生形をしていることを突き止めましたが,これは星の中心部まで対流を起こしていることが原因とされました。また,2006年に打ち上げられた日本の天文衛星「あがり」が赤外線を使ってペテルギウスを観測し,ペテルギウスのまわりに直径3光年(30兆キロメートル)にもおよぶ範囲でガスやチリを放出していることがわかりました。
現在,ペテルギウスはこのような姿で,その生涯を終える日を待っているわけです。
ペテルギウスが超新星爆発を起こすと次のような姿になると予想されています。
まず,爆発の3時間後には満月の100倍の明るさになって輝き,昼間も見えるようになります。これが3か月ほど続き,しだいに星のまわりのガスが輝くようになります。やがて,4か月もすると,温度が下がることで星の色が青色から赤色に変わり,まわりのガスが大輪の花のように広がっていきます。その4年後,ペテルギウスは肉眼で見えなくなってしまいます。そうして何百年もすると,超新星残骸として,望遠鏡で観測できるようになるのですが,オリオン座の四角形の星の並びはペテルギウスを失ってしまいます。また,冬の大三角形も存在しなくなります。
これまでに銀河系内で起きた超新星爆発で,人類が目撃したものは7個あるのですが,そのなかで地球からもっとも近いものは1054年に爆発した現在の「かに星雲」で6,500光年,その次が1572年に爆発した「チコの星」で7,800光年です。それらと比べて,ペテルギウスはわずか642光年と,とても近いものです。
では,超新星爆発によって放出されるガンマ線が地球に降り注ぐ心配はないのでしょうか?
ガンマ線が降り注ぐのは,爆発を起こした星の自転軸から5度の範囲です。ハップル望遠鏡で観測したところ,さいわいペテルギウスの自転軸は地球と20度ほど傾いていて,そうした心配はないそうです。
星を見るのも大変だ。-超新星を探せ④
仮に,地球から8.6光年離れたシリウスA(通常シリウスとよばれる連星シリウスの主星),あるいは25.3光年離れたベガがⅡ型超新星爆発を起こしたとすると,地球に住む生命はほぼ確実に絶滅するか壊滅的な打撃を受けることになります。
しかし,超新星爆発を起こすには太陽の8倍以上の質量が必要で,シリウスAの質量は太陽の2倍強,また,ベガの質量は太陽の3倍程度であるために,幸いなことに超新星爆発は起こさず,いずれも赤色巨星となって膨張した外層部により惑星状星雲を形成し,残った中心核が白色矮星となる可能性が濃厚です。
惑星状星雲の名は,望遠鏡で観測したときに緑がかった惑星のように見えるところから,ウィリアム・ハーシェルによって名付けられました。 惑星状星雲は,超新星にならずに一生を終える恒星が赤色巨星となった際に放出したガスが,中心の白色矮星の放出する紫外線に照らされて輝いているものです。
惑星状星雲の中心にある白色矮星はその恒星が一生を終えた姿です。質量が太陽の0.5倍以上8倍以下の恒星が白色矮星になるといわれています。
恒星は,一生の末期になると外層が膨張して赤色巨星となり,外層のガスは徐々に恒星の重力を振り切って周囲に放出されていき,原始惑星状星雲となります。一方,中心核は自分自身の重力で収縮し高温高密度の白色矮星となるため紫外線を放射し,この紫外線が赤色巨星であった時に放出したガスに吸収されると,ガスはそのエネルギーによって電離して光を放って輝くようになります。これが惑星状星雲です。
惑星状星雲のスペクトルは,主に電離ガスから放たれる輝線スペクトルです。惑星状星雲のガスは極めて希薄で原子間の衝突がめったに起こらないために輝線が観測できるのです。
☆ミミミ
今日の写真は,M97ふくろう星雲とM57環状星雲です。ともに,代表的な惑星状星雲で,写真を撮るとかわいいその姿を簡単に手に入れることができます。
星を見るのも大変だ。-超新星を探せ③
「かに星雲」という名前で知られるM1はおうし座にある超新星残骸で,地球からの距離は約7,000光年(銀河系の直径は約10万光年)です。現在も膨張を続けていて,中心部には「かにパルサー」と呼ばれるパルサーの存在が確認されています。
この星雲の元となった超新星は1054年に出現したことが中国や日本の記録に残されています。
中国の記録「宋史」の「天文志」には客星(突然現れた明るい星)として,1054年7月4日に現れて1056年4月5日に見えなくなったとあります。また,日本でも藤原定家が自身の日記「明月記」に記録を残しています。超新星の出現当時は金星ぐらいの明るさになって23日間にわたり昼間でも肉眼で見えたということです。
1731年,イギリスの開業医でありアマチュア天文家のジョン・ベヴィスによってこの星雲が発見され,ウィリアム・パーソンズの観測で微細なフィラメント構造がカニの足を思わせることからカニ星雲と命名されました。
彗星を観察していたシャルル・メシエは,1758年9月12日にかに星雲を彗星の追跡中に発見し,彗星と紛らわしい天体としてまとめたメシエカタログの1番目に収録しました。メシエは「牝牛の南の角の上にある,星雲状のもので星を含まない。白っぽくローソクの炎のように長く伸びている。1758年の彗星を追跡中に発見した。また,ベヴィス博士が1731年発見したとする私信がある」と記しました。
ルンドマークは,この星雲が900年ばかり前に爆発した残骸であることを示唆し,写真観測から年ごとに膨張しつつあることを明らかにしました。また,エドウィン・ハッブルやダンカンは1054年に出現した超新星の残骸であることを確認しました。
「かに星雲」は,双眼鏡では微かな光斑に見えます。見え方は空の状態に依存する天体でもあって,口径20センチの望遠鏡では佐渡島のような形に見え,内部の模様も見えはじめます。
現在,銀河系内で近いうちにⅡ型超新星爆発を起こすと予測されている星は,約600光年離れたアンタレスと約640光年の距離にあるベテルギウスです。これらの星が超新星爆発を起こした際には地球にも若干の影響が出ると言われていますが,地球から距離が離れすぎているためにガンマ線の威力は弱まり,オゾン層が多少傷つく程度で惑星および生命体への影響はほとんどないと予測されています。またガンマ線は自転軸の2度の範囲に放出されることが判明しており,その後の観測から地球はベテルギウスの自転軸から20度の位置にあることもわかっていることから,ベテルギウスからのガンマ線は地球に影響を及ぼさないと考えられています。
ベテルギウスの質量は太陽の約20倍もあり,かつ,脈動変光するほど赤色超巨星として不安定であることから,2009年の観測では,15年前の測定時と比べて15%も小さくなっており,しかも加速的に収縮しているらしいことがわかりました。また2010年1月のNASAの観測で,ベテルギウスが変形している事が示されたのですが,これは,ガスが恒星表面から流出し表面温度が不均一になるなど,星自体が不安定な状態にあることを意味していて,さらに近年の観測や研究により,その形状は球形ではなく,大きな瘤状のものをもった形状であるとされています。
しかしながら,これらの観測結果がベテルギウスの超新星爆発の前兆現象を捉えているのかどうかは定かではありません。近い将来の爆発は予測されているものの,それがいつか(明日なのか100万年後なのか)を示したとする観測データや解析結果は発表されていません。
☆ミミミ
テレビドラマ「木曽オリオン」でもやっていた長野県木曽観測所の超新星探査プロジェクトで,2月下旬に次の3つの超新星が相次いで発見されました。同プロジェクトによる超新星発見はこれで通算12個です。
●超新星2014Sは、2月21日におおぐま座方向の銀河に18.8等で発見されました。爆発約20日後のⅡ型超新星とみられます。
●超新星2014tは、2月22日におとめ座方向の銀河に18.7等で発見されました。爆発約2週間後のⅡ型超新星とみられます。
●超新星2014Uは、2月23日にしし座方向の銀河NGC3859に18.9等で発見されました。爆発約2週間後のⅡ型超新星とみられます。
星を見るのも大変だ。-超新星を探せ②
超新星は,古くは2世紀に中国で記録されていて,ティコ・ブラーエやヨハネス・ケプラーも観測記録を残していますが,実態が知られるようになったのは19世紀後半になってからです。
・・・・・・
「超新星」という名称は「新星」(nova)に由来します。新星とは,夜空に明るい星が突如輝き出しまるで星が新しく生まれたように見えるものです。ルネサンス期には既に認識されていたのですが,1885年にアンドロメダ銀河の中にそれまで知られていた新星よりはるかに明るく輝く星が現れ,これが新星を超える天体の存在が確認されたために「超新星」(supernova)の語が生まれました。
爆発で発する光は明るく輝き,この明るさは新星を格段に凌駕します。爆発によって星の本体は四散しますが,爆発後に中心部に中性子星やブラックホールが残る場合もあります。
・・
初期の宇宙はほとんどが水素とヘリウムの同位体でした。次に,ホウ素,炭素,窒素,酸素,ケイ素や鉄などの元素が恒星内部での核融合反応で生成され,超新星爆発により恒星間空間にばらまかれました。さらに,鉄よりも重い元素も超新星爆発時に生成したと考えられています。
また,炭素の同位体比から超新星爆発時に合成されたと考えられるダイヤモンドなどの粒子も隕石の中から発見されています。
・・・・・・
ひとつの銀河に超新星が発生する頻度は数十年に1回と考えられています。
我々の銀河系では,185年のケンタウルス座に現れたのが最古の観測記録で,その後,393年のさそり座に,1006年のおおかみ座に,1054年のおうし座「かに星雲」(=1番目の写真),その後は1181年のカシオペヤ座に,1572年のカシオペヤ座「チコの星」(=2番目の写真),1604年のへびつかい座「ケプラーの星」(=3番目の写真)で現れ,それ以降は発見されていません。
また,われわれの銀河系以外の銀河(かつては「系外星雲」といいました)に出現するものは遠すぎて通常は肉眼では見えないのですが,1987年に大マゼラン銀河に出現した超新星は肉眼でも見える明るさになりました。
「超新星」は,Ⅰ型とⅡ型とに分類されます。
・・・・・・
●Ⅰ型超新星
そのスペクトルに水素の吸収線が見られないものをⅠ型といいますが,Ⅰ型には「Ⅰa」型と「.Ⅰa」(ドットいちエー)型があります。
ケイ素の吸収線が見られるものが「Ⅰa」型で,これはあらゆる型の銀河に出現します。「Ⅰa」型は,連星系を作る一方の白色矮星が,もう一方の恒星から来たガスが降り積もることで質量を増加させて,ついには自らの重力による収縮を支えきれなくなって核融合反応が暴走し,大爆発を起こしたものです。2014年1月21日に発見された,おおぐま座の銀河M82 の超新星は,極大1,2週間前の「Ⅰa」型とみられています。「Ⅰa」型の超新星はピーク時の絶対等級がほぼ一定となるので,見かけ上の明るさを測定することで超新星爆発の起こった銀河までの距離を求めることができます。つまり,天体までの距離がわかるのです。
爆発時の明るさとその持続時間が「Ⅰa」型の数値とくらべて小数点以下くらいしかないものを「.Ⅰa」型と呼びます。「.Ⅰa」型の超新星は,連星系を作っているのが質量の異なったふたつの白色矮星のときに起こります。ふたつの白色矮星はお互いに相手の周りを回る軌道を描いていて,質量の大きい主星のほうが炭素および酸素で,質量の小さい伴星のほうがヘリウムを主な物質として組成されているとき,主星の重力の影響で伴星から組成主成分であるヘリウムが主星側へ少しずつ引き寄せられていき,やがて,主星の周囲に蓄積し主星を包み込むようになって,蓄積されたヘリウムが一定質量を超えると,非常に明るく短時間で終息する爆発が起きます。爆発後,2個の白色矮星はそのまま軌道を維持し,再び同じ爆発サイクルを繰り返します。
また,Ⅰ型の中でヘリウムの吸収線が見られるものを「Ⅰb」型、水素とヘリウムのどちらの吸収線も見られないものを「Ⅰc」型とよびますが,これらについては機構がよく分かっていません。
・・
●Ⅱ型超新星
水素の吸収線が見られるものをⅡ型と分類します。Ⅱ型の超新星は少なくとも太陽の8倍より重い星の場合に起こります。Ⅱ型には,「ⅡP」型と「ⅡL」型があって,光度の変化によって,光度がほとんど一定になる時期があるものを「ⅡP」型,最大光度の後単調に光度が減少するものを「ⅡL」型と呼びます。
太陽の8倍より重い星の場合,中心核が縮退しながら核融合が進み,核融合反応を繰り返すことによって赤色超巨星に進化した段階ではネオンやマグネシウムからなる中心核が作られて,その周囲の殻状の領域で炭素の核融合が進むようになります。やがて,中心核の質量が増えると陽子の電子捕獲反応が起きて中心核内部に中性子過剰核が増え,これによって電子の縮退圧が弱まるため,重力収縮が打ち勝って一気に崩壊します。
さらに,太陽の10倍程度よりも重い星では,中心核が縮退せず中心核の核融合が進み,最後に鉄の中心核ができます。鉄の中心核は重力収縮しながら温度を上げていき,華氏1,010度に達すると,高エネルギーのガンマ線を吸収してヘリウムと中性子に分解し,これによって一気に重力崩壊を起こします。この爆縮的崩壊の反動による衝撃波で外層部は猛烈な核融合反応を起こし,Ⅱ型の超新星となります。
・・・・・・
星を見るのも大変だ。-超新星を探せ①

2014年1月21日に,距離にして約1,400万光年にある,おおぐま座の銀河M82の中に10.5等級の明るい超新星が出現しました。
当日,学生を指導していたイギリス・ロンドン大学天文台のスティーブ・ホッシー(Steve J. Fossey)さんは,天気が悪くなってきていたので予定していた実習を変更して,CCDカメラの使い方のデモをしようと思いたちました。そして,学生が対象に選んだ銀河M82に望遠鏡を向けたところ,これまでなかったはずの明るい光が見えました。雲が近づく中,大慌てで超新星であることを確認しました。
この超新星は,超新星の中でもかなり明るくて,アマチュアでも簡単に写真に写すことができます。公開天文台の観測会でも,頼めば見せてもらえます。今は発見当時よりは暗くなりましたが,まだまだ大丈夫です。
私は,写真でも写しました(赤丸で囲んだところにある明るく白い星です)し,公開天文台の望遠鏡を通して肉眼でも見ることができました。写真と違って,肉眼で見ると,M82は薄くぼんやりとしか見られませんが,超新星のほうははっきりと確認することができます。1,400万年もの昔の星の爆発をこうして今見ることができることを,とても不思議に思いました。
・・・・・・
「超新星」というのは,星(恒星)の爆発した状態が地球から見られるものです。
もし,我々が住む銀外系に属する星が爆発すれば,非常に明るく輝きます。別の銀河(かつて「系外星雲」といいました)の中の星であれば,今回の超新星のように,距離が遠いので星の集まりが雲状に見られるだけの銀河の中に,超新星が恒星のように輝きます。とはいっても,こうした超新星は遠くにあるから非常に暗くしか見られないわけです。
・・・・・・
今回の超新星のように偶然発見されるものもありますが,超新星の発見を仕事として,あるいは趣味としている人もいます。超新星を探すには,大きな望遠鏡を使って,日にちを分けて同じ場所の写真を写して,それを比べて新しい星を探すわけです。
超新星探しを趣味としている人として,日本には第一人者のアマチュア天文家・板垣公一さんがいます。株式会社・豆の板垣の代表取締役社長でありながら新天体ハンターとして知られていて,超新星発見数の国内最多記録をもっています。
・・・・・・
板垣公一さんは,池谷薫さんの彗星発見に刺激を受けて彗星捜索をはじめ,1968年に多胡・本田・山本彗星を発見しましたが,残念ながら,発見したのが遅かったので,名前がつきませんでした。しかし,その後は成果が上がらず,2000年からは捜索対象を超新星に切り替えました。
超新星の観測に重点を移してからの活躍は驚異的なもので,2013年現在での個人での発見数は,世界歴代4位です。また,これまで日本人が発見した超新星の半数近くは板垣公一さんによるものです。
・・・・・・
仕事として探しているものには,先日,テレビドラマ「木曽オリオン」でやっていたような,超新星探査プロジェクトがあります。














